115-Unit, Mixed-Use Building Proposed on 2nd St. in Kensington

Second Street and American Street north of Girard Avenue in South Kensington are exploding with growth. Several large projects have recently been completed, are under construction, and are in the pipeline. Check out our Map Page for a breakdown of the projects we’ve covered. Better yet, hop on your bike and take a cruise down the recently completed bicycle lane on North American Street and see the transformation happening in this section of the city for yourself.
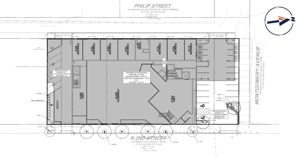
Today, we bring you a new project that was just presented to the local community organization this week. Developers are proposing a 6-story, 127,078 square foot building with 115 residential units, 8,454 square feet of commercial space, 27 automobile parking spots, and 42 bicycle stalls on the 33,141 square foot Industrial Commercial Mixed-Use (ICMX) parcel at 1730-54 N. 2nd Street. The property is currently occupied by a low-rise warehouse and surface parking lot.


The commercial space and residential lobby would front 2nd Street while 7 townhouse style units would front Philip Street. The proposal includes 4 curb cuts. Two would be located on 2nd Street and another 2 on Philip Street. The building would include an elevated courtyard with a pool for residents above the first level.
The massing of this building is definitely unique with a bunch of angles and setbacks. Because of the proposed setbacks, the bulk of the building’s mass is located on the back side of the parcel and off of 2nd Street. The proposed facade would be constructed of red brick and various other sidings. Metal columns would accent the building along the ground floor.


As this parcel is zoned ICMX, it will need a variance to proceed as planned as residential use is not allowed by-right in this zoning category. The project team is currently scheduled for a hearing with the zoning board of adjustment (ZBA) in mid November.
We think the residential density and height of this project are appropriate for the evolving area. We would also love to see additional commercial space added along 2nd Street. However, we do wish that there were less curb cuts in the plan. If the curb cuts on 2nd Street could be eliminated, it would be a drastic improvement in our opinion. Better yet, we would advocate eliminating the parking altogether and expanding the footprint of the commercial space.
How do you feel about this project and all of the development happening in this section of Philadelphia?
