12-Story, 329-Unit Project Under Construction at 5th and Spring Garden

A couple of weeks ago, we told you about roughly 1,400 units that are currently under construction amongst 3 projects on Delaware Avenue between Spring Garden Street and Frankford Avenue. Well, from Delaware Avenue to 5th Street along Spring Garden Street, a very similar situation is unfolding. There’s the 470-unit Festival Pier redevelopment happening at Delaware Avenue and Spring Garden Street. At 2nd and Spring Garden, a 360-unit building is under construction. Then, there’s a 373-unit project that’s nearing completion on the northwest corner of 5th and Spring Garden. We’ll check in on those 2nd and 5th Street projects in the near future, but want to bring your attention to the southeast corner of 5th and Spring Garden Street today.
We originally told you about this project back in June of 2021 before the development team’s meeting with the Civic Design Review. At that time, a low-rise office building stood on the site at 416 Spring Garden Street. Since then, the office building has been demolished and construction is well underway at this evolving intersection.




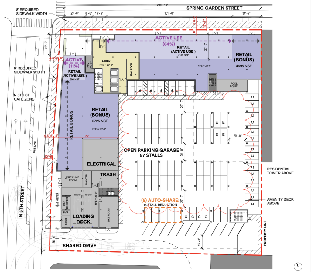
As a reminder, when complete, this project will rise 12 stories and will include 329 residential units, 15,320 square feet of commercial space, 87 automobile parking spots, and 111 bicycle stalls. The residential entrance will be located on the corner with commercial spaces flanking the lobby on both 5th Street and Spring Garden Street. The building will also feature co-working space, a fitness center, and a dog park.
The structure’s facade will be made up of brick, glass, and various metal panels. The facade has a lot of texture with various setbacks and roughly 50% of the residential units having inset balconies. The automobile parking area will be accessed via 5th Street and will be topped by an amenity deck with a pool for residents.
If you go by the site today, you’ll see multiple elevator shafts already rising 7-stories into the air. This is a huge construction site and we’re excited to see the project continue to move forward. It’s pretty shocking to see this intersection transform over the last couple of years. In a short period of time, it will go from having no residential units to more than 700 along with a bunch of storefronts. Between this intersection and everything else surrounding the Spring Garden Street corridor, this area is going to feel a lot different in the coming years.
What do you think about the transformation of this intersection? What kind of businesses would you like to see open within this project?