23-Story, 606-Unit Tower Planned on the Delaware River in South Philly


You may remember plans being released in 2019 for Liberty on the River – a multi-stage, six-building project with a total of 2,002 residential units, a 208 room hotel, 43,000 square feet of retail, and 1,378 parking spaces at 1341 South Christopher Columbus Boulevard. This 3 million square foot development plan never moved forward and we’ve been wondering what would happen to the riverfront property over the last several years since we’ve seen no action on the site and have gotten no updates about the project.
We now have an answer. A zoning permit was issued yesterday for a completely new project. Although smaller than the Liberty on the River plans, it’s still quite massive.
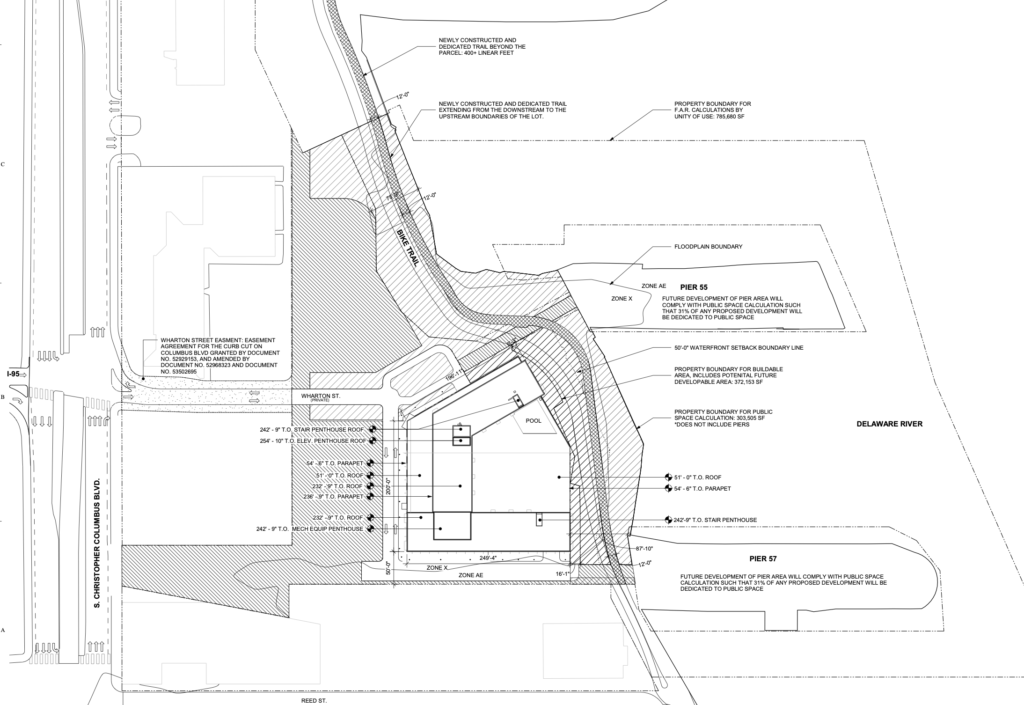
Silverstein Properties out of New York is planning to build a 23-story structure on the site with 606 residential units, 15,000 square feet of commercial space, 500 automobile parking spots, and 202 bicycle stalls.



The development team is utilizing 3 bonuses to achieve increases in floor area ration (FAR) and height. They will utilize the public open space bonus, the trails bonus, and a bonus for including extra retail space. 31% of the 303,505 square foot parcel will be committed to public space. That’s 94,103 square feet of new public space along the Delaware River. None of the public space will be located on Pier 55 and Pier 57, which are part of the site.
The development entails a 5-story podium with two tower structures rising above it. The podium will include the commercial space, residential amenity space, and automobile parking on all 5 floors. The towers will rise to a total height of 254 feet if measured to the top of the elevator shafts.
Wharton Street will be extended across Columbus Boulevard to the site in order to provide access to the building.
This project can proceed by-right. However, it will have to go through the Civic Design Review (CDR) process for non-binding feedback. We’re looking forward to seeing project renderings and getting more information about the public space when the CDR presentation is released.
We’re definitely happy to see new plans in place to develop this site that include so much public space and an extension of the Delaware River Trail. Silverstein Properties is a renowned company with a 16 million square foot portfolio and another 9 million square feet of development in the pipeline. They’re best known for the redevelopment of the World Trade Center site in New York City. So, we’re pretty confident that something will finally happen here.
How do you feel about the new plan? Do you like it better than the Liberty on the River project? Are you excited to see the trail extended and for so much public space to be included?