Permits Issued for 14-Unit + Commercial Project in Germantown

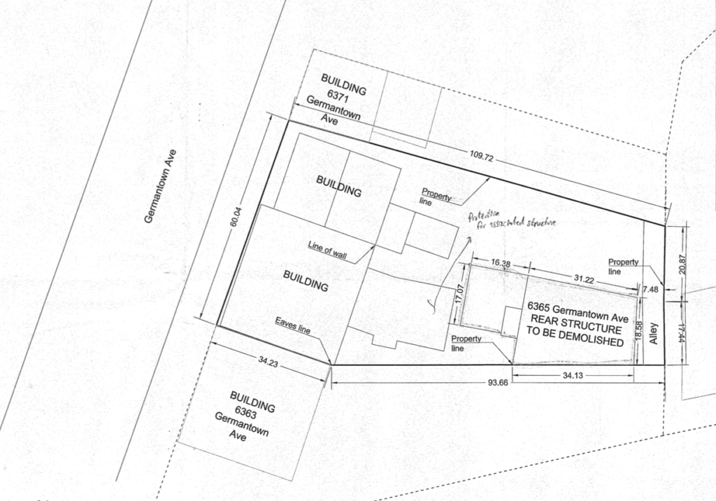
Building permits were issued on January 18th for a 14-unit project at 6365-69 Germantown Ave. The CMX-2 zoned property, which is more than 36 feet wide and 125 feet deep in some sections, holds a stately 4-story masonry building with two bay windows and a large addition off the back. A demolition permit for the structure in the rear of the property was issued in December of 2019. We’re not sure if that section of the building has been demolished to date.
In place of the rear structure, a 3-story new construction addition will rise and will include 9 residential units. The original front structure will hold 5 residential units and 2 commercial spaces. The development will utilize the low income housing bonus and will also include 5 bicycle stalls.


We’re happy to see the street facing building preserved and utilized. The architecture in this section of the city is irreplaceable. Since the new construction rear structure will be shorter than the original front building, it should not be visible from the street.
Two new retail spaces and 14 new homes for people along the Germantown Avenue corridor is positive news for the neighborhood, in our opinion. The fact that some of these apartments may be affordable is another great aspect of this development.
How do you feel about the project? What type of businesses would you like to see open up shop in the retail spaces?